安庆E网

搜索
查看: 14944|回复: 0

[城事早知道] 安庆东部新城一地块规划公示!配建小学、幼儿园、菜场、五星级酒店

[复制链接]

0

收听

1

听众

1万

帖子

资深E粉

注册时间
2015-10-15
精华
580
发表于 2022-4-14 08:44:37 | 显示全部楼层 |阅读模式
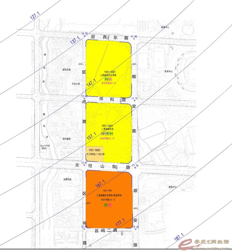
4月13日,安庆市自然资源和规划局网站发布安庆东部新城一些地块的规划公示。该地块主要为住宅规划用地,配套建设小学及幼儿园,以及建设一处高度不小于100米,建筑面积不小于4万方的五星级酒店。
该地块规划范围东至顺安路,西至区间路,南至区间二路,北至迎宾东路,约为 36.84 公顷,其中:
640.jpg
YX01-0301地块东至顺安路,西至区间路,南至祥和路, 北至迎宾东路,用地面积约为11.86公顷;
YX01-0601地块东至顺安路,西至区间路,南至天柱山东路,北至祥和路,用地面积约为11.44公顷;
YX01-0602地块东、北至规划二类城镇住宅用地,西至区间路,南至天柱山东路,用地面积约为1.24公顷;
YX01-0901地块东至顺安路,西至区间路,南至区间二路,北至天柱山东路,用地面积约为12.30公顷。
640 (1).jpg
该规划地块主要为住宅用地,中小学用地,从规划方案中,可以清楚地看到规划地块的相关配套设施:
640 (2).jpg
01、YX01-0301
地块内配套建设一处全天候对外开放的公共厕所,建筑面积不小于80平方米,非独立占地;
配套建设一处9班幼儿园,用地面积不小于4320平方米,建筑面积不小于2898平方米,独立占地。

02、YX01-0601
地块内配套设施一处全天候对外开放的公共厕所,建筑面积不小于80平方米,非独立占地;
配套建设一处公共服务中心,建筑面积不小于5000平方米,独立占地,其中包括社区服务站建筑面积不小于1000平方米,社区菜市场建筑面积不小于2000平方米,文化活动站建筑面积不小于1000平方米,社区卫生服务站建筑面积不小于270平方米,养老服务设施每百户25平方米;
配套建设一处调压站,用地面积不小于120平方米,建筑面积不小于50平方米,独立占地。

03、YX01-0901
地块内配套设施一处全天候对外开放的公共厕所,建筑面积不小于80平方米,非独立占地;
配套建设一处9班幼儿园,用地面积不小于4320平方米,建筑面积不小于2898平方米,独立占地。
另外,0901地块内建设一处高度不小于100米,建筑面积不小于4万方的五星级酒店。

来源:安庆市自然资源和规划局网站
hulihutuyouhulihulu
回复

使用道具 举报

您需要登录后才可以回帖 登录 | 注册

本版积分规则

联系合作|手机版|手机APP|Archiver|

GMT+8, 2025-10-31 06:44 Powered by Discuz! X3.4

安庆E网生活网站 © 2001-2013 Comsenz Inc. ( 皖ICP备05012696号 )

QQ

安庆瑞易文化 地址:华茂1958-C7栋 联系电话:0556-5306667 联系邮箱:17779721@qq.com 互联网违法和不良信息举报电话和邮箱:0556-5306667 17779721@qq.com

皖公网安备 34080002000101号

    
快速回复 返回顶部 返回列表