安庆E网

搜索
查看: 6073|回复: 0

[城事早知道] 终于等到了!安庆这所中学要开建了...

[复制链接]

0

收听

1

听众

1万

帖子

资深E粉

注册时间
2015-10-15
精华
580
发表于 2023-10-30 14:59:58 | 显示全部楼层 |阅读模式
来了来了,许多安庆家长心心念的晴岚中学,这回是真的要开建了。
据了解,在学校地块已经张贴通告,表示学校建设工程即将开始,施工人员和设备将于10月31日进场。
640.png
图源:网络
终于尘埃落定,不容易啊。这对在白泽板块买房的家长来说,是个极大利好了。根据早前规划,该校规划建设36班晴岚初中,15班幼儿园。
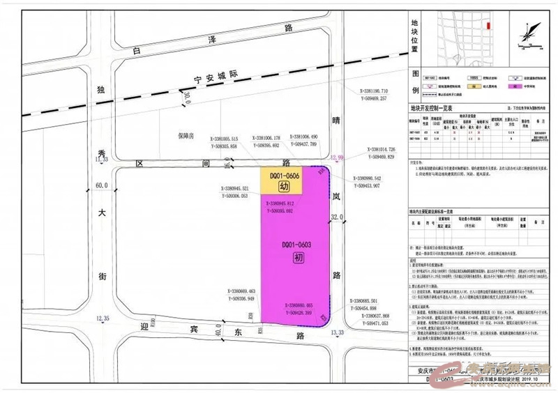
640.jpg
图:晴岚中学地块规划
此前安庆宜秀区发布一个70亿大项目招标,其中就包含晴岚中学、小学等工程。
640 (1).png
之后,由安徽建工集团股份有限公司(牵头方)安徽省第一建筑工程有限公司、安徽水利开发有限公司、徽科设计集团有限公司(成员方)中标。公告中还标明各项目建设工期。
640 (2).png
除了晴岚中学,相信晴岚一小、二小后续建设消息也快了。
今年晴岚中学成功落地,你如何评价?你觉得对周边房子的价格会有影响吗?

hulihutuyouhulihulu
回复

使用道具 举报

您需要登录后才可以回帖 登录 | 注册

本版积分规则

联系合作|手机版|手机APP|Archiver|

GMT+8, 2025-12-12 09:15 Powered by Discuz! X3.4

安庆E网生活网站 © 2001-2013 Comsenz Inc. ( 皖ICP备05012696号 )

QQ

安庆瑞易文化 地址:华茂1958-C7栋 联系电话:0556-5306667 联系邮箱:17779721@qq.com 互联网违法和不良信息举报电话和邮箱:0556-5306667 17779721@qq.com

皖公网安备 34080002000101号

    
快速回复 返回顶部 返回列表